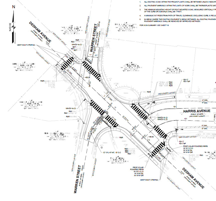
The Town will begin construction in the next few weeks at the intersections of Dedham Ave., Warren St., and Harris Ave. Long identified as a series of intersections that are confusing to both drivers and pedestrians, this intersection will undergo a minor transformation to address these safety issues. This project was selected and funded through the Town’s participation in the Complete Streets Program.
The intersection of Dedham and Harris will be realigned to make the entrance to Harris more perpendicular to Dedham Ave, increasing visibility and creating additional space from the intersection of Warren and Dedham. The island in the middle of Harris Ave will be extended to include an island for safe pedestrian crossing. The extended grass will also include an area for improved storm water drainage.
The intersection of Warren (heading North) and Dedham will be also reoriented and a stamped concrete median will be added to discourage traffic from driving across Harris to Warren without making turning movements on to Dedham.
The pedestrian crossing on Dedham Ave will be relocated to move it away from the Harris and Dedham Ave intersection and to shorten the crossing distance. A rectangular rapid-flashing beacon (RRFB) will be installed.
This new layout will make it clear that cars should not drive directly across Dedham Ave, but should turn on and off Dedham Ave to go from Warren to Harris Ave making this intersection safer for cars and pedestrians.